S S1875 skrev:
Jag ska ordna med en parkeringsplats på tomten vid mitt fritidshus. Jag behöver fälla några större träd samt rensa en del mindre träd och buskar vid vägkanten. Träden står på spalten mellan min tomt och vägen. Jag får ingen svar från ägaren huruvida jag får rensa detta. Jag antar att han inte har ngt emot detta. Finns det några regler kring detta?
Tacksam för svar
Du behöver samtycke från fastighetsägaren !
 
  • Gilla
Tombrittberg och 4 till
  • Laddar…
Nej, du får inte ta ned träd utanför din tomt.

Du kan få rätt att göra det med servitut/lantmäteri osv.

Att göra det i "hemlighet" är ett bra recept på osämja och framtida fejder.

/ATW
 
  • Gilla
Karlia
  • Laddar…
L Lawson skrev:
All mark i Sverige är ägd av någon,
Ingen har hävdat något annat. Men om träden står i vägområdet och TS har rätt att vårda vägen (exempelvis genom servitut) inkluderar den rätten att ta bort träd i vägområdet. Nu vet ju inte jag om det är så, men det är en möjlighet värd att känna till.

En annan sak att känna till är att man normalt behöver väghållarens tillstånd för att göra en ny anslutning till vägen. Så det kan vara bra att prata med den eller de som äger vägen om parkeringen innebär en ny utfart från TS fastighet.
 
  • Gilla
Bror9 och 4 till
  • Laddar…
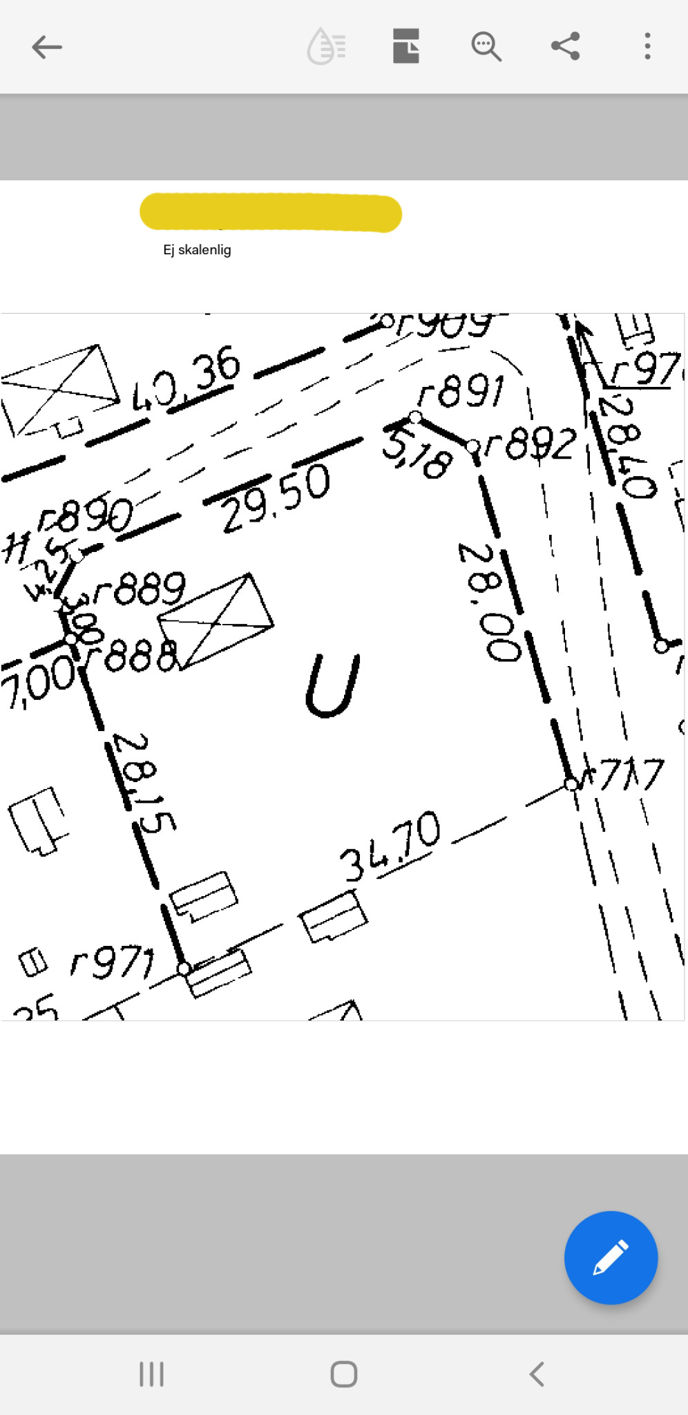
Så här ser tomten ut. Till väster och söder har jag granntomter. Till norr och öster har jag en väg, men innan vägen har jag en spalt som har en annan ägare. Hittills har jag bara försökt få tag på honom genom telefon. Ska göra ett försök att skriva brev också. Men tänkte kolla här först då jag inte vet huruvida jag kommer få ngt svar, och kanhända att svaret inte blir positivt.

Fastighetsskiss som visar tomten med omgivande gränser, vägar och granntomter.
Inloggade ser högupplösta bilder
Skapa konto
Gratis och tar endast 30 sekunder
 
Redigerat av moderator:
  • Gilla
MetteKson och 2 till
  • Laddar…
Vad du än gör så fäll inte träd på grannens tomt utan hans medgivande, helst skriftligt, kan bli vääääldigt dyrt för dig. Finns rättsfall kring detta. Skadestånden i dessa frågor är inte att leka med. Är det sen på stadsplanerat område så bör kommunen tillfrågas. Inte alls säkert att de gillar din tanke.
 
  • Gilla
Maria T och 6 till
  • Laddar…
Jag skulle tolka all mark som är utanför din tomt som vägområde och inte ha några större samvetskval över att ta ner träden.

Men är det ett såpass tätbebyggt område som det ser ut att vara gissar jag att ni har en vägsamfällighet som din fastighet är med i. Gå in på Min fastighet på Lantmäteriet och kolla. Är det en gemensamhetsanläggning som är föreningsstyrd så kolla med ordföranden vad hen säger.
 
  • Gilla
Claes Sörmland och 4 till
  • Laddar…
Micke501 Micke501 skrev:
Vad du än gör så fäll inte träd på grannens tomt utan hans medgivande, helst skriftligt, kan bli vääääldigt dyrt för dig. Finns rättsfall kring detta. Skadestånden i dessa frågor är inte att leka med.
Ja, det finns rättsfall, men kontentan av dessa är att det inte är jättedyrt. Man får betala virkesvärdet typ. Nu ska TS förstås inte begå några olagligheter i onödan, men det är inget skäl att sprida skrönor.

Alnarpsmodellen (som ledde till absurda skadeståndsanspråk vid viss olovlig trädfällning) är död, begraven av HD 2015.
 
  • Gilla
Lindgrenski och 9 till
  • Laddar…
S S1875 skrev:
Så här ser tomten ut. Till väster och söder har jag granntomter. Till norr och öster har jag en väg, men innan vägen har jag en spalt som har en annan ägare. Hittills har jag bara försökt få tag på honom genom telefon. Ska göra ett försök att skriva brev också. Men tänkte kolla här först då jag inte vet huruvida jag kommer få ngt svar, och kanhända att svaret inte blir positivt
Var på din fastighet planerar du att placera parkeringen? Finns det idag någon infart från vägen till din fastighet (ser ingen på kartbilden) eller planerar du anlägga en i samband med parkeringen?
 
  • Gilla
Destrier
  • Laddar…
Kanske utanför ämnet, men enligt kartan tycks det som om fastigheten inte har någon infart. Det bör vara ett krav när en fastighet skapas, till exempel servitut. Detta kanske är en gammal fastighet, men vilket som bör en infart vara möjlig. Ni bör kunna ansöka om att få till ett servitut om det inte löser sig på ett smidigare sätt.
 
  • Gilla
Destrier och 2 till
  • Laddar…
Såvitt jag kan förstå så omfattar den aktuella marken av större delen av vägarna inom ditt bostadsområde samt också vissa grönområden.

För all denna mark (oavsett vem som äger den) borde det ha inrättats en gemensamhetsanläggning. Varför så inte skett är svårt att säga. Förmodligen har man ansett att området sköts bra ändå. Men, och detta gäller oavsett hur det blir med din parkering, så rekommenderar jag att du tillsammans med några av dina grannar kontaktar Lantmäteriet och ansöker om att få en gemensamhetsänggning inrättad.
 
E
Förlåt för att jag lånar det här inlägget lite. Tänkte bara kolla hur det fungerar att hugga av träd som inte har brutits av helt efter att träden har gett upp kampen mot vinden? Jag har varit ute och promenerat i en skog och såg ett träd som hade fällts ner av vinden. Alltså att det inte har blivit nerhugget av en yxa eller avsågad av en såg. Utan efter många om och men från starka vindar så har trädet böjts så pass mycket att det bröts nästan helt av. En liten bit av det sitter kvar mellan trädet och stubben. Tror ni att det skulle vara okej att kapa av några grenar från det trädet och ta hem grenarna för att ha dem i terrarium?
 
  • Gilla
Allmäntvetgirig och 1 till
  • Laddar…
Ö Örjan Bånge skrev:
Såvitt jag kan förstå så omfattar den aktuella marken av större delen av vägarna inom ditt bostadsområde samt också vissa grönområden.

För all denna mark (oavsett vem som äger den) borde det ha inrättats en gemensamhetsanläggning. Varför så inte skett är svårt att säga. Förmodligen har man ansett att området sköts bra ändå. Men, och detta gäller oavsett hur det blir med din parkering, så rekommenderar jag att du tillsammans med några av dina grannar kontaktar Lantmäteriet och ansöker om att få en gemensamhetsänggning inrättad.
Det finns en samfällighet. När jag mejlade ordförande fick jag till svar att jag bör kontakta ägaren av spalten.
 
  • Gilla
Bror9 och 2 till
  • Laddar…
Nötegårdsgubben Nötegårdsgubben skrev:
Står träden i vägområdet har du sannolikt rätt att ta bort dem om det är en väg du har servitut på. En skiss eller karta hjälper för att förstå situationen. Gissar att ingen äger en smal remsa mark mellan din fastighet och vägen utan att vägområdet ligger på grannfastigheten med diken och allt.

Det är förstås bäst att vara säker på sin sak, men det är i alla fall inte omöjligt att du har rätt att fälla träden.
Det är en person (inte grannen) som äger denna markremsa men han äger också all mark intill vägen i området.
 
  • Gilla
Bror9
  • Laddar…
Nötegårdsgubben Nötegårdsgubben skrev:
Ingen har hävdat något annat. Men om träden står i vägområdet och TS har rätt att vårda vägen (exempelvis genom servitut) inkluderar den rätten att ta bort träd i vägområdet. Nu vet ju inte jag om det är så, men det är en möjlighet värd att känna till.

En annan sak att känna till är att man normalt behöver väghållarens tillstånd för att göra en ny anslutning till vägen. Så det kan vara bra att prata med den eller de som äger vägen om parkeringen innebär en ny utfart från TS fastighet.
Nötegårdsgubben Nötegårdsgubben skrev:
Ingen har hävdat något annat. Men om träden står i vägområdet och TS har rätt att vårda vägen (exempelvis genom servitut) inkluderar den rätten att ta bort träd i vägområdet. Nu vet ju inte jag om det är så, men det är en möjlighet värd att känna till.

En annan sak att känna till är att man normalt behöver väghållarens tillstånd för att göra en ny anslutning till vägen. Så det kan vara bra att prata med den eller de som äger vägen om parkeringen innebär en ny utfart från TS fastighet.
Det var ju du som skrev att ”du gissar på att ingen äger remsan....” det var det jag svarade på. Och skulle det vara så att TS har servitut på att sköta vägen så behöver han ju knappast ställa frågan här, då har han det skriftligt och allt är i sin ordning. Annars har du helt rätt.
 
A
E Ezrath88 skrev:
Förlåt för att jag lånar det här inlägget lite. Tänkte bara kolla hur det fungerar att hugga av träd som inte har brutits av helt efter att träden har gett upp kampen mot vinden? Jag har varit ute och promenerat i en skog och såg ett träd som hade fällts ner av vinden. Alltså att det inte har blivit nerhugget av en yxa eller avsågad av en såg. Utan efter många om och men från starka vindar så har trädet böjts så pass mycket att det bröts nästan helt av. En liten bit av det sitter kvar mellan trädet och stubben. Tror ni att det skulle vara okej att kapa av några grenar från det trädet och ta hem grenarna för att ha dem i terrarium?
Det tror jag ingen skulle ha något emot..
Det som ligger på marken och inte är tillgagn för markägaren får man ju plocka
 
  • Gilla
Mies och 1 till
  • Laddar…
Vi vill skicka notiser för ämnen du bevakar och händelser som berör dig.